Site icon Polonya Haber

Jeden z najszybciej nasilających się huraganów w historii

jeden z najszybciej nasilaj cych si huragan w w historii 4750

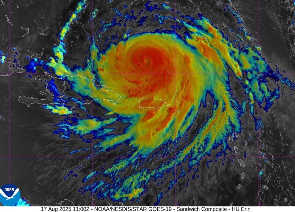
Erin, gün içinde en hızlı güçlenen Atlantik huracani olarak dikkat çekiyor. Karayipler ve ABD kıyıları boyunca şiddetli fırtına, sel ve erozyon tehlikeleriyle karşı karşıyalar.

Ostrzeżenie w związku z huraganem Erin

Günaydın, Narodowe Centrum ds. Huraganów (HRD) Pazar sabahı, Virgin Adaları ve Porto Riko için yoğun yağış beklendiğini, yerel olarak su baskınları, kaymalar ve çamur kayması riski taşıdığını duyurdu. Turks ve Caicos Adaları’nda tropikal fırtına koşulları, Doğu Bahamalar’da ise Pazar akşamı ve Pazartesi günleri şiddetli fırtına riski var. Erin, Bahamalar kıyıları, büyük bir kısmı doğu kıyısı ABD, Bermudi ve Kanada Atlantik kıyısı boyunca ölümcül dalgalar ve geri akıntılar yaratabilir. Karolina Kuzey, Orta Atlantik ve Bermudi kıyı sakinlerinin, Erin’in gelişini takip etmeleri ve ortancaanın içinde güçlü rüzgâr riskiyle karşılaşabileceklerini izlemeleri gerektiği belirtildi. Max hızı 200 km/h; ancak en muhtemel olarak doğrudan kara ile temas etmeyecek.

Jeden z najszybciej nasilających się huraganów

Saat 11:00’de 120 km/h hızla rüzgarla 1. kategori yaki 2. kategori yarası bir şiddet, çarşamba günü 24 saat içinde 257 km/h hızla 5. kategori hattan geçti. Bu hızlı artış, Erin’i Atlantik’in en hızla güçlenen, 1 Eylül öncesinde tüm dünyada en hızlı gelişen huracan olarak tarihe geçirdi. CNN, 5. kategoriyi tekrar kazanacağını öngörüyor.

Kaynaklar:

Narodowego Centrum ds. Huraganów, CNN

Kaynaklar:

Exit mobile version